Продажа земельного участка под строительство жилого комплекса
Описание

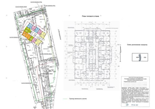
Предлагается к продаже земельный участкок, расположенный по адресу: г. Новосибирск, Заельцовский район, ул. Кропоткина.
Кадастровый номер земельного участка:
54:35:033035:3842
Кадастровая стоимость земельного участка: 33 661 818,09 руб.
Общая площадь земельных участков: 5 493 кв.м.
Разрешенное использование:
Среднеэтажная жилая застройка (2.5) - Многоквартирные среднеэтажные дома; подземные гаражи; автостоянки; объекты обслуживания жилой застройки во встроенных, пристроенных и встроенно-пристроенных помещениях многоквартирного среднеэтажного дома; Многоэтажная жилая застройка (высотная застройка) (2.6) - Многоквартирные многоэтажные дома; подземные гаражи; автостоянки; объекты обслуживания жилой застройки во встроенных, пристроенных и встроенно-пристроенных помещениях многоквартирного многоэтажного дома в отдельных помещениях многоквартирного многоэтажного дома; Коммунальное обслуживание (3.1) - трансформаторные подстанции; Деловое управление (4.1) - Объекты управленческой деятельности, не связанной с государственным или муниципальным управлением и оказанием услуг; объекты для обеспечения совершения сделок, не требующих передачи товара в момент их совершения между организациями, в том числе биржевая деятельность (за исключением банковской и страховой деятельности); Магазины (4.4) - Объекты для продажи товаров, торговая площадь которых составляет до 5000 кв. метров; Общественное питание (4.6) - Рестораны; кафе; столовые; закусочные; бары; Спорт (5.1) - Объекты для размещения спортивных клубов, спортивных залов, бассейнов; объекты для устройства площадок для занятия спортом и физкультурой, в том числе водным; спортивно-зрелищные сооружения с трибунами более 500 зрителей; спортивные базы и лагеря.
Местоположение

Город: Новосибирск
Район: Заельцовский
Адрес: Кропоткина 128/3
Ближайшая ООТ: Ж/м Плехановский (100м)
Станция ж/д: Плехановский ж/м (200м)
Транспортная доступность
- В 100 метрах от участка находится остановка городского общественного транспорта «Плехановский жилмассив», через которую проходят 9 маршрутов автобусов и маршрутного такси, связывающие практически все части города.
- 2 станции метро рядом: в 15 минутной шаговой доступности находится станция метро «Маршала Покрышкина» и в 20 мин пешком - «Гагаринская».
- В 200 метров от участка расположена станция железной дороги пригородного электросообщения «Плехановская», регулярный пассажиропоток которой образует суточная маятниковая миграция по направлению «Мошково — Пригород —Дзержинский район — Калининский район — Деловой центр города».
Земельный участок

Земельный участок
54:35:033035:3842
Категория земель:
Земли населенных пунктов
Площадь участка:
5 493 кв.м.
Кадастровая стоимость:
33 661 818,09 руб.
Технические условия
1. ТУ №2640/ТУН от 24.10.2019 на газоснабжение в объеме 116 м3/час.
2. ТУ№53-04-15/168761 от 15.10.2019 на электроснабжение мощностью 356,07 кВт.
3. ТУ №5-27518 от 11.10.2019 на водоснабжение в объеме 4,41 куб.м/час (105,88 куб.м/сут) и водоотведение.
Топографическая съемка
Для земельного участка 19.08.2019 г. получена отдежуренная топосъемка.
Расчет инсоляции

Был выполнен анализ ситуации с целью возможности размещения 25-этажного здания. В качестве размещаемого здания был принят аналог габаритами в плане 23,2м х 32,6м. Высота здания ТРЦ «Континет» принята 12,0 м от абсолютной отметки 153,84.
При предлагаемом размещении с учетом принятой высоты здания ТРЦ «Континет»:
- размещаемое здание не оказывает влияния на инсоляцию квартир жилого дома по ул. Кропоткина 128/3.
- инсоляция двухсторонне ориентированных квартир дома по ул. Кропоткина 128/1 обеспечивается через западные оконные проемы,
инсоляция квартир, односторонне- ориентированных на размещаемое здание составляет не менее 2 часов непрерывно и не менее 2 часов 30 минут прерывисто.
- квартиры жилого дома по ул. Кропоткина 130/1, ориентированные на размещаемое здание, имеют не менее 2 комнат, при этом хотя бы одна из комнат не имеет лоджии. По результату расчета инсоляции для комнаты с лоджией, расположенной в зоне наибольшего влияния размещаемого здания, составляет 3 часа 30 минут прерывисто (максимальный непрерывный интервал инсоляции - 2 часа 30 минут).
- в размещаемом здании с точки зрения инсоляции в наихудшей ситуации находятся квартиры, расположенные по северо-восточному фасаду здания. По результатам проверки инсоляции для оконных проемов, расположенных в произвольных местах по западному фасаду здания, в указанных квартирах инсоляция составляет не менее 1 часа 30 минут непрерывно, нормативная продолжительность инсоляции обеспечивается при размещении по данной стороне 2-х и 3-х комнатных квартир без лоджий с глухими перегородками. Возможность устройства лоджий и размещения 1-комнатных квартир и квартир-студий по данному фасаду, а также отметка, с которой они допустимы, необходимо решить на стадии эскизного проектирования после уточнения посадки здания, глубины заложения четверти и т.п.
Информация о землепользовании
На основании запроса №30/02333 от 12.08.2019 ГУАиГ Мэрии г. Новосибирска подготовило справку
о правилах землепользования и застройки земельного участка №54:35:033035:3842.
Участок относится к подзоне делового, общественного и коммерческого назначения с объектами различной плотности жилой застройки (ОД1.1)
Вариант размещения на участке

На участке возможно размещение 25-ти этажного здания с габаритами 23,0х32,0 м.
Технико-экономические показатели:
1. Площадь застройки: 750 кв.м.
2. Площадь квартир: 11 000 – 12 000 кв.м.
3. Жилая площадь: 6 000 – 6 500 кв.м.
4. Общая площадь: 18 000 – 19 000 кв.м.
5. Строительный объем: 64 000 куб.м.
6. Количество квартир: 264.
- однокомнатные: 120;
- двухкомнатные: 48;
- трехкомнатные: 24;
- студии: 72.
Вынос коммуникаций из пятна застройки

Для размещения здания на земельном участке требуется перенос коммуникаций из пятна застройки.
- Разработан проект выноса кабельных линий 10 кВ (278-19-ЭС). Передан на согласование в РЭС 23.10.2019 (вх. №8817/54).
- Разработан проект переноса сетей Водоснабжения (05.09-19-ПЗУ). Согласовано МУП г. Новосибирска «Водоканал» 23.10.2019.
- Разработан проект переноса публичного сервитута.
Посадка здания на земельном участке
Расчет парковочных мест

Согласно ПЗЗ № 1288 от 24.06.2009 с изменениями от 25.09.2019 количество парковочных машиномест определяется так: для объектов капитального строительства с видом разрешенного использования «многоквартирные среднеэтажные дома», «многоквартирные многоэтажные дома» - 1 машино-место на 105 кв. метров общей площади квартир, но не менее 0,5 машино-места на 1 квартиру, из них не более 15 % гостевых машино-мест;
Таким образом, при размещении 25-ти этажного жилого дома с общей площадью квартир 12 000 и числом квартир 264, минимальное количество парковок рассчитывается по формуле: 12 000 кв.м./105 = 114,3 (115 машино-мест);
0,5х264 кв = 132 машино-мест. Минимальное количество м/м – 132 м/м. 36 м/м на территории дома и 96 м/м на территории подземного паркинга.